
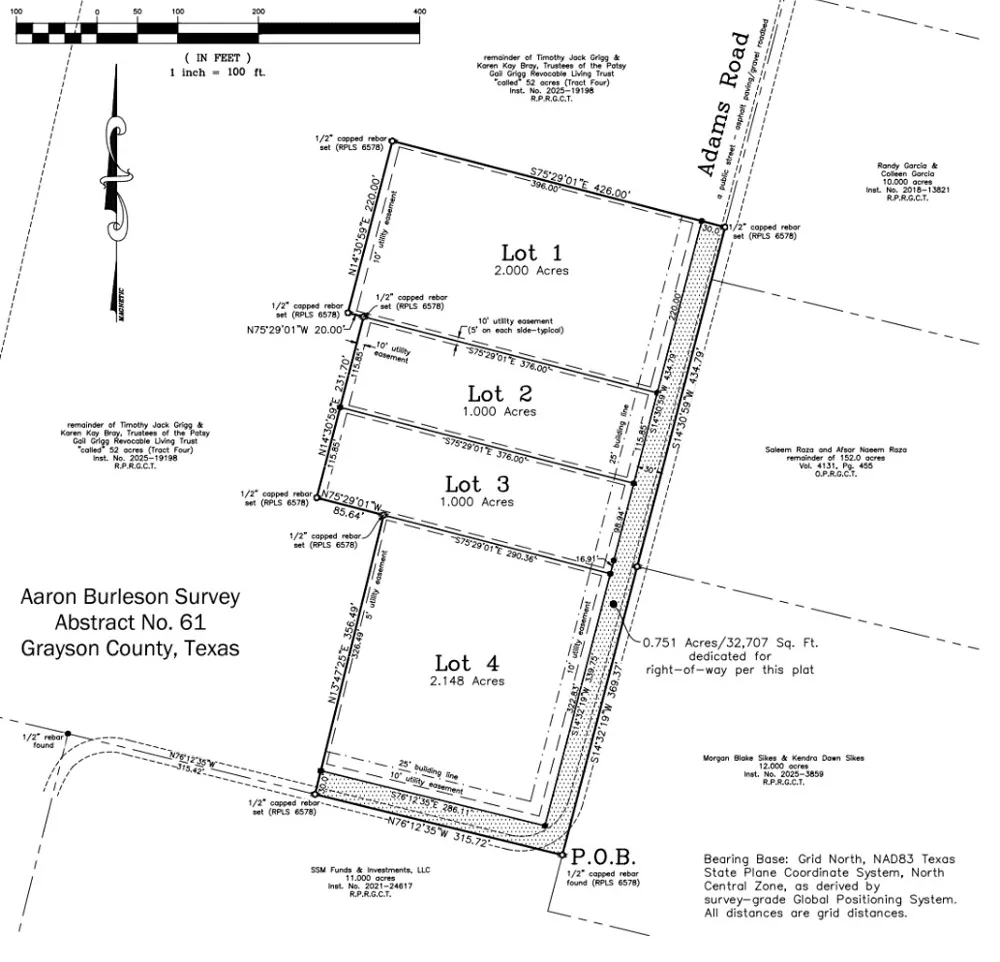
Looking for the perfect acreage for your new home? This is it! Conveniently located just a few miles outside Sherman city limits, these 1-2 acre lots offer beautiful views and peaceful serenity. Co-op water and electric service this area, individual septic system is required by the county. Desirable but limited deed restrictions are in place to protect your homestead investment. Lot 1 is 2.0 acres listed at $129,000. Lot 2 and 3 are each one acre listed at $89,000 each. Lot 4 is 2.148 acres listed at $140,000. These 4 lots have been subdivided out of a 150-acre parcel. Offers for larger lots of land from this parcel and the adjacent 25-acre parcel will be considered. Please register showing requests as noted in agent showing instructions. Be advised, land is in its natural state; dress accordingly and be prepared for brush, tall grass, rocks, uneven and or muddy ground surfaces, snacks, ticks, etc. Cattle are currently present on the land, do not attempt to approach cattle.
© 2023 North Texas Real Estate Information Systems, Inc. All rights reserved. Disclaimer: All information deemed reliable but not guaranteed and should be independently verified. All properties are subject to prior sale, change or withdrawal. Neither listing broker(s) nor TruHome Real Estate shall be responsible for any typographical errors, misinformation, or misprints and shall be held totally harmless. The database information herein is provided from and copyrighted by the North Texas Real Estate Information Systems, Inc. NTREIS data may not be reproduced or redistributed and is only for people viewing this site. All information provided is deemed reliable but is not guaranteed and should be independently verified. The advertisements herein are merely indications to bid and are not offers to sell which may be accepted. All properties are subject to prior sale or withdrawal. All rights are reserved by copyright
Last Updated: . Source: NTREIS
Provided By
Listing Agent: Lauren Hagan (#0676936), Phone: (903) 200-5550
Listing Office: RE/MAX Signature Properties (#RMSP00TO)

Get an estimate on monthly payments on this property.
Note: The results shown are estimates only and do not include all factors. Speak with a licensed agent or loan provider for exact details. This tool is sourced from CloseHack.